Price: $122,900
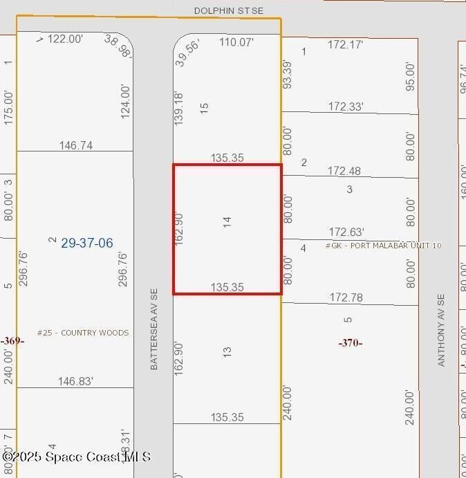
231 Battersea AvenuePalm Bay, FL 32909
0
Square Foot
N/A
Bedrooms
0.00
Full Baths
N/A
½ Baths
No
Waterfront
Property Description:
SPREAD OUT ON THIS HALF ACRE OF SPACE IN A CHARMING DEED-RESTRICTED NEIGHBORHOOD! THIS PRETTY PARCEL IS NICELY SITUATED ALONG A PEACEFUL CUL-DE-SAC WITH CITY WATER, PAVED ROADS, AND LOVELY HOMES. WHEN BUILDING, HOMES MUST COMPLY WITH THE DEED RESTRICTIONS. A COPY IS ATTACHED BUT IS NOT WARRANTED TO BE UP-TO-DATE. IT IS UP TO THE BUYER TO CONFIRM THE CURRENT REQUIREMENTS FOR BUILDING. THE POPULAR MALABAR ROAD CORRIDOR IS 1-MINUTE NORTH, OFFERING A WONDERFUL VARIETY OF STORES, RESTAURANTS, ACCESS TO I-95 AND MANY MORE EVERYDAY CONVENIENCES. THE LOCAL ELEMENTARY AND MIDDLE SCHOOLS ARE A 5-MINUTE DRIVE AROUND THE CORNER. THE HIGH SCHOOL IS 12 MINUTES. TAKE A DRIVE BY AND TAKE A LOOK AT THIS BEAUTIFUL PROPERTY!
Exterior Features
N/A
Interior Features:
N/A
Equipment / Appliances:
N/A
Utilities:
N/A
Property Details
Street Name:
County:
Brevard
Listing Status:
Active
Tax Year:
2024
Waterfront:
No
Zip Code:
Subdivision:
Country Woods
Tax Amount:
$1,028
HOA Dues:
$0.00

231 Battersea Avenue Palm Bay, FL 32909
This listing is courtesy of Cheryl Smith Realty, Inc.
Real Estate and Luxury homes in Melbourne Beach, Merritt Island, Cocoa Beach, Lansing Island, Tortoise Island, Vero Beach, Barefoot Bay, Cape Canaveral, Cocoa, Grant Valkaria, Indialantic, Indian Harbour Beach, Malabar, Melbourne, Palm Bay, Rockledge, Satellite Beach, Titusville, West Melbourne and surrounding areas in Brevard and Central Florida.
Property Listing Data contained within this site is the property of Brevard MLS and is provided for consumers looking to purchase real estate. Any other use is prohibited. We are not responsible for errors and omissions on this web site. All information contained herein should be deemed reliable but not guaranteed, all representations are approximate, and individual verification is recommended.

Share: