Price: $275,000
330 N Babcock StreetMelbourne, FL 32935
0
Square Foot
N/A
Bedrooms
0.00
Full Baths
N/A
½ Baths
No
Waterfront
Property Description:
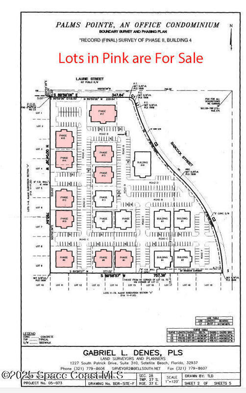
This ''lot'' is one of 9 lots that are all relatively identical. These lots are designed to fit four office condo units with a total area of 5, 041 s.f. per building. Each condo unit (4 proposed in each building) could have a size of 1, 260 s.f. each or any permutation of that multiple. This Lot has all parking, retention, water and sewer stub out and are flat and level and cleared. They are ready for development of a 5, 041 s.f. building. This is a perfect location for a medical use since the hospital is located 2.3 miles or 6 minutes by car. The complex is well maintained and managed. Other owners/tenants include dentist, doctors, massage therapy, lawyer, insurance company, and Realtor. Amazing opportunity to own a free standing office building in the center of town with much of the work of development already completed.There are a total of 10 lots with 9 lots designed for 5041 s.f. buildings and one of approx. 7500 s.f. Asking price is for 1 lot for 5041 sf. blding. All avail.
Exterior Features
N/A
Interior Features:
N/A
Equipment / Appliances:
N/A
Utilities:
N/A
Property Details
Street Name:
County:
Brevard
Listing Status:
Active
Tax Year:
2024
Waterfront:
No
Zip Code:
Subdivision:
Palms Pointe Office Park Condo Ph III IV V
Tax Amount:
$0
HOA Dues:
$0.00

330 N Babcock Street Melbourne, FL 32935
This listing is courtesy of D. Basile Real Estate, LLC.
Real Estate and Luxury homes in Melbourne Beach, Merritt Island, Cocoa Beach, Lansing Island, Tortoise Island, Vero Beach, Barefoot Bay, Cape Canaveral, Cocoa, Grant Valkaria, Indialantic, Indian Harbour Beach, Malabar, Melbourne, Palm Bay, Rockledge, Satellite Beach, Titusville, West Melbourne and surrounding areas in Brevard and Central Florida.
Property Listing Data contained within this site is the property of Brevard MLS and is provided for consumers looking to purchase real estate. Any other use is prohibited. We are not responsible for errors and omissions on this web site. All information contained herein should be deemed reliable but not guaranteed, all representations are approximate, and individual verification is recommended.

Share: