Price: $175,000
JudsonMerritt Island, FL 32953
0
Square Foot
N/A
Bedrooms
0.00
Full Baths
N/A
½ Baths
Yes
Waterfront
Property Description:
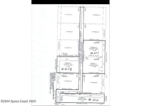
All nestled in a quiet pocket of North Merritt Island surrounded by nature and possibility this Opportunity of 8.16 Acres is zoned AU inclusive of a 1.44 lake lot. This unique offering includes these 3 parcels lot 252 1.44 ac lot 277 4.17 278 2.55 Acres. Originally planned as a 10 lot subdivision now 9 remaing lots shaing 50 ft access owned by this listings lot owners. With no septic tank permits being issued the ideal use is Agricultural or utility use. think landscaping equipment storage, greenhouse operations or nursery development. AU zoning opens doors for creative, business-friendly uses that align with Brevard's evolving landscape. This is a rare chance to secure versatile acreage on North Merritt Island with room to grow-literally and figuratively. Enviornmentally sensitive This land speaks to entrepreneurs, growers and visionaries. If you are unsure of what all is available through AU zoning please find AU zoning attached to this listing.
Exterior Features
N/A
Interior Features:
N/A
Equipment / Appliances:
N/A
Utilities:
N/A
Property Details
Street Name:
County:
Brevard
Listing Status:
Active Under Contract
Tax Year:
2022
Waterfront:
Yes
Water Type:
Zip Code:
Subdivision:
None
Tax Amount:
$643
HOA Dues:
$0.00

Judson Merritt Island, FL 32953
This listing is courtesy of HomeSmart Coastal Realty.
Real Estate and Luxury homes in Melbourne Beach, Merritt Island, Cocoa Beach, Lansing Island, Tortoise Island, Vero Beach, Barefoot Bay, Cape Canaveral, Cocoa, Grant Valkaria, Indialantic, Indian Harbour Beach, Malabar, Melbourne, Palm Bay, Rockledge, Satellite Beach, Titusville, West Melbourne and surrounding areas in Brevard and Central Florida.
Property Listing Data contained within this site is the property of Brevard MLS and is provided for consumers looking to purchase real estate. Any other use is prohibited. We are not responsible for errors and omissions on this web site. All information contained herein should be deemed reliable but not guaranteed, all representations are approximate, and individual verification is recommended.

Share: